Courtesy of Global Direct Realty Inc.

6417 Parliament Avenue, Land for sale in Harbour Landing Regina , Saskatchewan , S4W 0L3

 MLS® # SK019980

Sign up to View

Days on Market

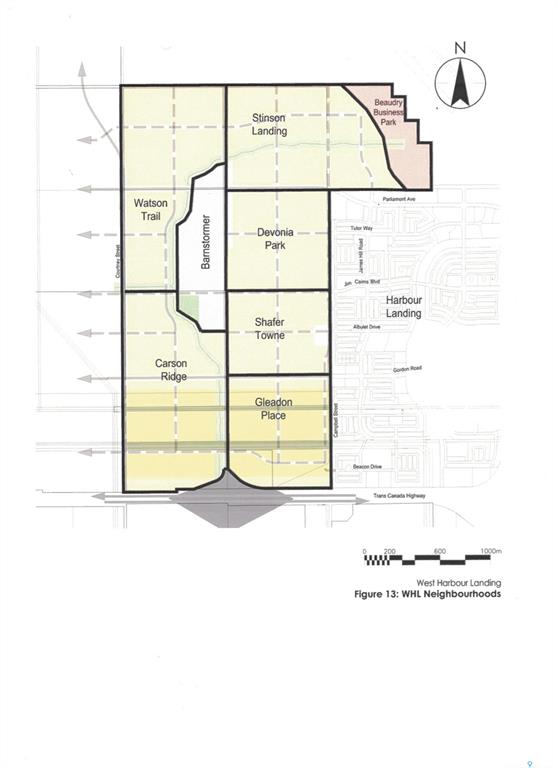
Two 27' x 125' undeveloped residential lots in Devonia Park or Phase IV of West Harbour Landing (located west of Harbour Landing and south of 26th Avenue). NOTE: there are four more adjoining lots available as well. Investment opportunity only at this time with potential to build on in the future.  Devonia Park is a quarter section of land originally subdivided into 1,400 lots in 1912. Brokerage sign at the corner of Campbell Street and Parliament Avenue. GST may be applicable on the sale price. More info...

Read More

Essential Information

  • MLS® #
    SK019980
  • Property Type
    Lot/Land
  • MLS® #
    SK019980
  • Property Type
    Lot/Land
  • MLS® #
    SK019980
  • Property Type
    Lot/Land

Community Information

  • Neighbourhood
    Harbour Landing
  • Postal Code
    S4W 0L3
  • Neighbourhood
    Harbour Landing
  • Postal Code
    S4W 0L3
  • Neighbourhood
    Harbour Landing
  • Postal Code
    S4W 0L3

Additional Details

  • Taxes
    180
  • Ownership Title
    Freehold
  • Taxes
    180
  • Ownership Title
    Freehold
  • Taxes
    180
  • Ownership Title
    Freehold

$36,000

6417 Parliament Avenue

Schedule Tour
Contact Agent

$164/month
Est. Monthly Payment
$
$
%
Learn More